PROPERTY ENQUIRY
€800,000 For Sale
Larnaca Larnaka Town
Commercial Land
700m² Plot

Commercial Land Ref. C13050


TENDER SUBMISSION DEADLINE:
TUESDAY 12 MAY 2026, 10:00 a.m.

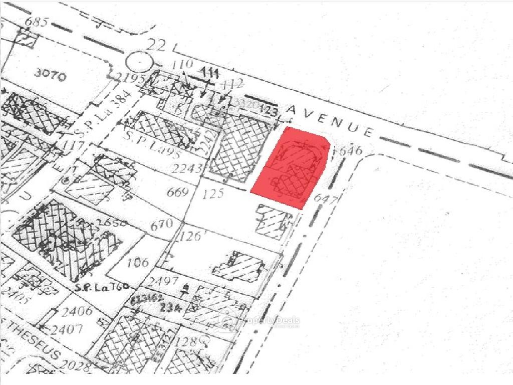
The property for sale concerns 2 adjacent commercial parcels in the parish of Agios Nikolaos, in the municipality of Larnaca. The properties are adjacent to Georgios Grivas Digenis Avenue and are located approximately 450 meters northwest of the Municipal Park.

As a single property, it is corner-shaped, rectangular in shape with an even surface, and abuts into a public registered roads along its northeast and southeast borders, with a frontage of approximately 22 and 30 meters, respectively.

The properties fall within Commercial Zone Eβ1 with a building density of 200%.

It should be noted that within the properties, there are some economically obsolete buildings.

The properties are sold as a single unit with a total area of 700 sq.m.


THE CLOSING TIME FOR TENDER SUBMISSION IS 10:00 AM EVERY TUESDAY,
UNLESS OTHERWISE SPECIFIED

The asset does not qualify for the 50% reduction of property transfer fees imposed or levied by the Department of Lands and Surveys (Fees and Charges) Law (Cap.219).

- - - - - - - - - - -

Town Planning Details

Plot ZoneΕβ1
Building Density200%
Covering Factor50%
Max floors6
Max Height20,40

Land Registry Details

Reg. No.12/736
Sheet40
Plan64W1
Block12
Plot646
Haven't found what you are looking for?
THIS WEBSITE IS USING COOKIES
We use cookies to provide necessary functionality and give you the best experience on our website. Continue if you are happy to receive all cookies on this site. Read our Cookies Policy.